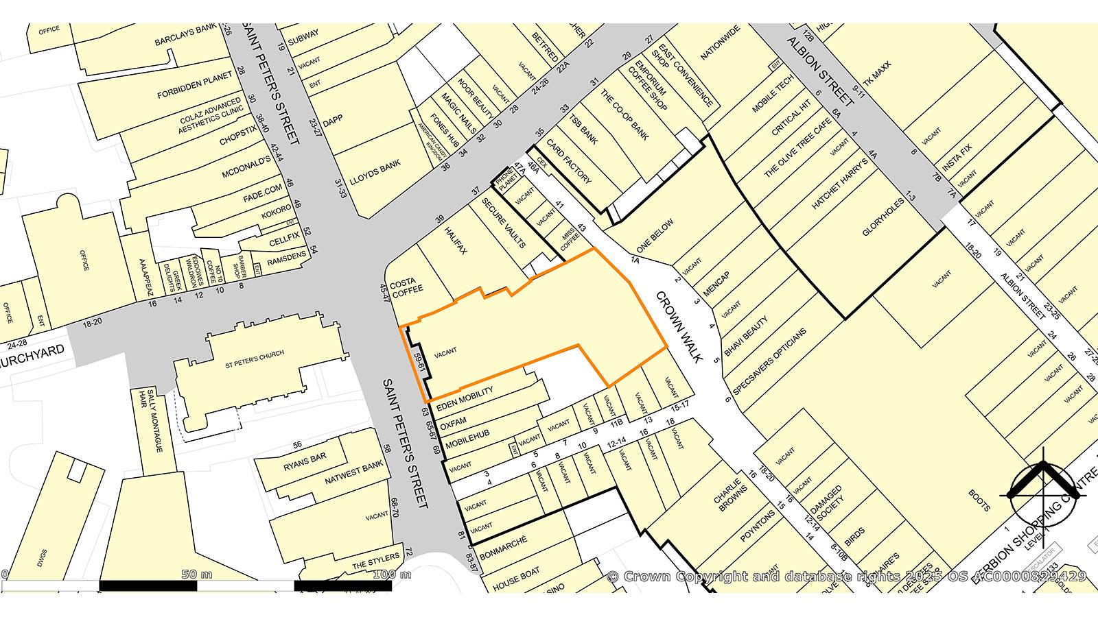
59-61 St. Peter's Street
Derby
Derbyshire
DE1 2AB
City Centre Retail and Development Opportunity
- Substantial City Centre Retail Opportunity
- Prominent frontage on Derby’s main shopping street, adjacent to Derbion Centre
- Total approx. 4,919 sq. m. (52,965 sq. ft.) over 5 Floors
- Immediate Asset management opportunities
- Of interest to owner occupiers
- Nearby occupiers include Waterstones, Costa Coffee, Starbucks, Grape Tree, Subway, Tesco Express and PureGym
- Lot
47 - Auction
30th October 2025
Vacant- Status
Withdrawn Prior - Price
- Auction Venue
Live Streamed Auction
- Photos
- Map











